8月6日,浙江農林大學“厚植生態底色,推動綠色發展”大學生暑期社會實踐團,來到了浙江省衢州市進行病蟲害調查,分別在天博家庭農場、宇發家庭農場和勇勤家庭農場展開實地調研,致力于解決當地柑橘等作物的病蟲害問題,并查看柑橘西瓜新型套種技術的效果。
圖為團隊合影

圖為當地柑橘西瓜套種模式
在調研過程中,團隊發現當地害蟲主要以柑橘潛葉蛾、長白蚧和柑橘黑刺粉虱為主,病害主要以黑點病為主。柑橘潛葉蛾,又名繪圖蟲、鬼畫符。柑橘潛葉蛾在中國柑橘產區均有分布發生,長江以南受害尤重。國外在澳大利亞、印度、印度尼西亞、斯里蘭卡、日本、越南等國也有分布。柑橘潛葉蛾為害柑、橘、橙、柚、檸檬、枸櫞等所有柑橘屬種類;其幼蟲孵出后由卵底面潛入葉表皮下取食葉肉,形成無規則的隧道,形似符咒,故稱之為“鬼畫符”。
圖為柑橘潛葉蛾創造的“鬼畫符”

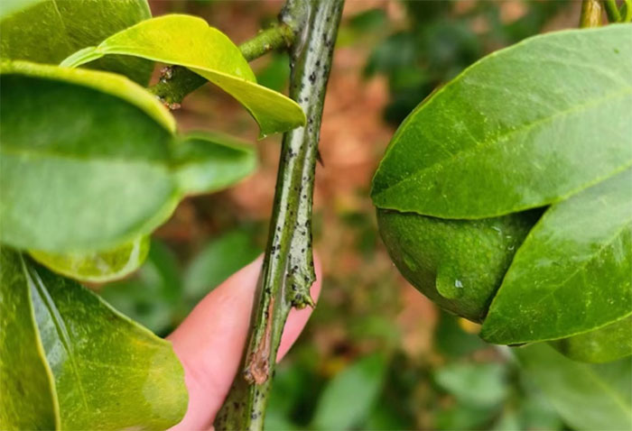
圖為柑橘樹干上密布的長白蚧

圖為柑橘煤污病

圖為柑橘上黑點病
為了檢驗當地農場綠色防控的效果,社會實踐團隊前往勇勤家庭農場進行調查,受到了農場主方勇勤的熱情接待。據了解,勇勤農場在鄧建宇老師的指導下,堅持不使用化學農藥,采用綠色防控手段治理果園,得到了不錯的成就。方勇勤非常高興地說,能讓鄧老師指導綠色防控真是太幸運了,在掛設害蟲誘捕裝置、信息素粘蟲板以及高效殺蟲燈之后,果園需要的人工成本越來越少,但果樹卻長得越來越好,不僅果園產量在大大提升,果品的質量還提升了一個大臺階,又因為是綠色有機食品完全供不應求,大大提高果園了經濟效益,成為了衢州市全面綠色防控農場的典型代表。
圖為果園中的吸果夜蛾誘捕裝置

圖為果園中的信息素粘蟲板

圖為果園中的高效誘蟲燈

圖為果園中的柑橘潛葉蛾誘捕器

圖為團隊成員在果園中實地調研
圖為團隊成員檢查綠色防控設備

圖為團隊與方勇勤交流溝通
“推動鄉村振興,厚植三農情懷”,鄧建宇教授始終不忘初心,將論文寫在果園里,把實驗成果做在老百姓的收入上,不畏炎熱的天氣環境自始至終走在隊伍的前面認真調查果樹病害,他深深影響了社會實踐團的成員們,此次實踐經歷讓團隊成員學習到了更多的綠色生物農業防控技術,直接地感悟了果農真真切切的喜悅。果農無比信任的使用我們的產品,用的放心,消費者無比信任的購買生產的蔬果,吃的放心。當地政府無比信任的推廣生態綠色防控技術,治的放心。一次綠色推廣,三方放心無慮。這正是浙農林學生交出的一份完美答卷,一份屬于植物保護的“農林方案”。
通訊員:王佳瑞、顧心一、陳星元、王逸煒、李欣雨、孟怡睿、胡佳銘、張俊英、龔堯、趙文龍、安楠
指導老師:鄧建宇、劉超、梁衛玲